Вопрос: Настройка маршрутизаторов DIR-320/NRU и DIR-620 (прошивка 1.3.3) для организации VPN соединения через сети 2G/3G

Ответ: 
1. Подключите сетевой кабель к одному из LAN портов маршрутизатора (порты 1-4) и к сетевой карте компьютера.
 
2. Подключите 3G модем в порт USB. В данном примере используется модем Huawai E1550.
 
3. В настройках сетевого подключения на компьютере укажите "Получать IP-адрес автоматически" (Сетевое Окружение-> Свойства -> TCP/IP-> Свойства-> Получить ip адрес автоматически, Получить DNS сервер автоматически)
 
4. Запустите браузер. В поле адрес введите: http://192.168.0.1/
 
Откроется следующее окно:
 
Имя пользователя admin , пароль admin . При первом входе будет предложено сменить пароль Администратора. Нажмите ссылку «Вход».
 
5. Выберите иконку «Настроить вручную»
 
6. Убедитесь в том, что маршрутизатор опознал ваш модем. Проверить это можно в разделе «USB-модем»
 
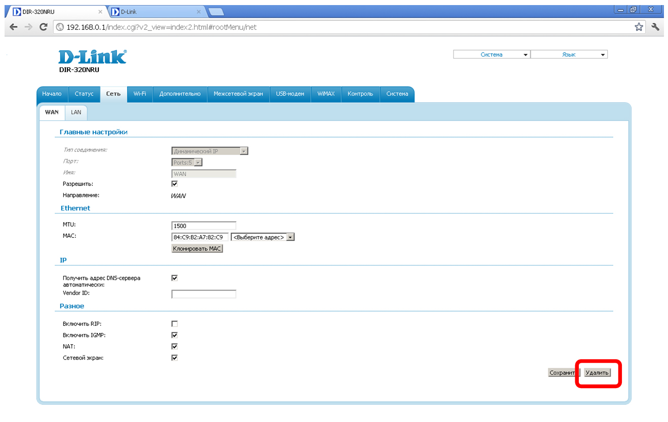
7. Приступим непосредственно к настройке соединения. Выберите меню «Сеть» и нажмите на строке «WAN»
 
8. Нажмите кнопку «Удалить»
После каких-либо изменений не забывайте нажимать кнопку «Сохранить». В противном случае после выключения питания все изменения будут утеряны.
 
9. Нажмите кнопку «Добавить»
10. Выберите тип соединения «PPTP + Статический IP»
 
IP
IP-адрес: 1.1.1.1
Сетевая маска: 255.255.255.255
IP-адрес шлюза: 1.1.1.1
Первичный DNS-сервер: 8.8.8.8

VPN

Соединяться автоматически: вкл
Имя пользователя: pptp_login
Без авторизации: выкл
Пароль: pptp_password
Подтверждение пароля: pptp_password
Адрес VPN-сервера: IP_или_адрес_pptp_сервера
Шифрование: MPPE 40/128 бит
Алгоритм аутентификации: AUTO
MTU:  1400
Keep Alive:   вкл
LCP интервал (сек): 20
LCP провалы: 3
Соединение по требованию: выкл
Отладка PPP: вкл
 
 
11. Нажмите кнопку «Добавить». Выберите тип соединения «3G». Произведите настройку соединения согласно данным вашего 3G провайдера. В примере используется подключение 3G Utel.

PPP

Имя пользователя:  
Без авторизации: вкл
Пароль:  
Подтверждение пароля:  
APN:  3g.utel.ua
Номер дозвона:   *99#
Алгоритм аутентификации:  AUTO
MTU: 1460
Keep Alive: вкл
LCP интервал (сек): 20
LCP провалы: 3
Дополнительные опции:  
Соединение по требованию: выкл
Отладка PPP: выкл
Нажмите кнопку «Сохранить».
 
12. Не забывайте нажимать кнопку «Сохранить».
 
13. Перейдите в раздел «Дополнительно / Серверы имен». Выключите «Маршрут по умолчанию» и выберите «Интерфейс» «3g_USB…». Нажмите «Изменить».
 
14. Перейдите в раздел «Дополнительно / Маршрутизация». Нажмите кнопку «Добавить» и введите сеть, которая будет маршрутизироваться в туннель, например 10.0.0.0/24 и 172.17.17.0/24. Укажите «Интерфейс» «statpptp_Ports:5_1». Нажмите «Сохранить».
15. Настройка завершена. Перезагрузите маршрутизатор – верхнее меню «Сохранить и Перезагрузить» или выключением питания на 2-3 сек.
 
16. Подключение происходит в течении 2 мин. после включения питания маршрутизатора. Проверить подключение можно через меню «Статус / Сетевая статистика»
Ну и конечно командой PING
 
Настройка Wi-Fi и других функций маршрутизатора: dlink.ru/ru/faq/
 
Настройка PPTP сервера на базе унифицированного маршрутизатора DSR-1000: http://dlink.ru
 
Настройка PPTP сервера на базе межсетевых экранов серии DFL: http://dlink.ru/ru/faq/
Нажимая ПРИНЯТЬ или продолжая просмотр сайта, Вы подтверждаете, что ознакомились с Политикой в отношении обработки персональных данных пользователей сайтов ООО «Д-Линк Трейд» и выражаете Ваше Согласие на обработку персональных данных посетителя сайта, а также файлов cookie.
Принять